Nota Aclaratoria
Esta página es sin fines de lucro. Nuestro interés es el ilustrar nuestra flora y servir de referencia a toda nuestra población. Si usted entiende que algo no debe de estar aquí publicado, favor de escribirnos. Agradecemos la cooperación y ayuda de todos los que hacen posible esta página.Incluiremos solo nombres usados por nuestro pueblo.no se usarán nombres científicos.es imposible ilustrar una flora quebradillana,con más de mil especies.se tomaran datos científicos que garanticen sus usos,y peligros,la parte folklorica se discutirá,pero no se asegurarán los comentarios.creemos que con ilustrar 600 plantas bastará.termino hoy 8 de junio del 2018,esperando que sea parte de nuestro patrimonio de pueblo
martes, 6 de mayo de 2014
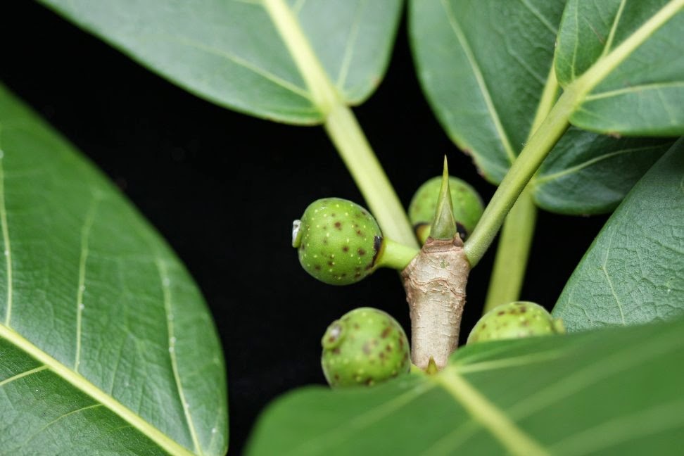
MORACEAE FICUS TRIGONATA
ÁRBOL NATIVO DE HOJAS MÁS AMPLIA EN LA BASE CON FRUTOS DE UNAPULGADA VERDOSOS CON MANCHAS BLANCUSCAS Y EN EL APICE UN BOQUILLA TRIANGULAR POR DONDE PENETRA EL INSECTO QUE PERMITE LA FERTILIZACION.HE PROBADO LA FRUTA Y ES SOSA,PUDIERA HACERSE CON ELLA DULCES.NO ES COMÚN EN MI PUEBLO ,LOS DOS QUE HABÍAN FUERON CORTADOS, (DESARROLLO DE VIVIENDAS).
Suscribirse a:
Enviar comentarios (Atom)



No hay comentarios:
Publicar un comentario